今日は健康診断に行きました。
私ではなく、
みふぃとラビッヂのです~

みふぃ、起きてくださいよ~
これから病院に行きますよ。

自宅から北41条まで向かいます。

いつものことですが
家ではみせない
この笑顔。。。
病院が大好き。
だって病院には
屋上ランがあるし
みんなやさしいから^^

血液検査から
スタートです。
「先生よろしくね。
いっぱいとっても
かまわないわよ」
先生、あっという間に
終了です~

次はラビッヂ。
病院にいく度に
落ち着いていられるように
なってきました。
成長しているのね。。。
しみじみ。

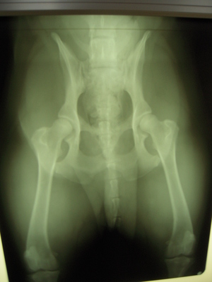
座り方が気になったので
股関節のレントゲンを
とってもらったラビッヂ。
「きれいです」とのことで安心~
これでフリスビーを
思いっきりできるね!
みふぃの腹部レントゲンを
撮りました。

みふぃは心電図です。
14歳と7ヶ月のみふぃの心臓はどうだろう。
いろいろ検査してもらいましたが
みふぃもラビッヂも特に問題なく
ほっとしました。
しいて言えば先生いわく
「みふぃ、昨年より骨が年とったね」。
みふぃはゆっくりゆっくり歳をとってくれています。
若返ることはないけれど
老化は遅いほうがいいよね^^
コメント(0)